อาคารพาณิชย์

อาคารพาณิชย์


เงื่อนไขผู้เข้าสู้ราคา
ผู้ประสงค์เข้าสู้ราคาต้องวางหลักประกันเป็นจำนวน 500000 บาท

ราคาประเมิน
ราคาประเมินของสำนักประเมินราคาทรัพย์ กรมธนารักษ์ โปรดติดต่อเจ้าหน้าที่
ราคาประเมินของผู้เชี่ยวชาญการประเมินราคา 3,529,960 บาท
ราคาประเมินของเจ้าพนักงานบังคับคดี โปรดติดต่อเจ้าหน้าที่
ราคาประเมินของเจ้าพนักงานประเมินราคาทรัพย์ กรมบังคับคดี โปรดติดต่อเจ้าหน้าที่
ราคาที่กำหนดโดยคณะกรรมการกำหนดราคาทรัพย์ โปรดติดต่อเจ้าหน้าที่

สถานที่ขายทอดตลาด
นัดที่ 1-4 ณ อาคารอสีติพรรษ กรมบังคับคดี เลขที่ 189/1 ถนนบางขุนนนท์ แขวงบางขุนนนท์ เขตบางกอกน้อย กรุงเทพ เวลา 9.00 น.

ข้อมูลทรัพย์
คดีแดงเลขที่
ล.3059/2559
ประเภททรัพย์สิน
อาคารพาณิชย์
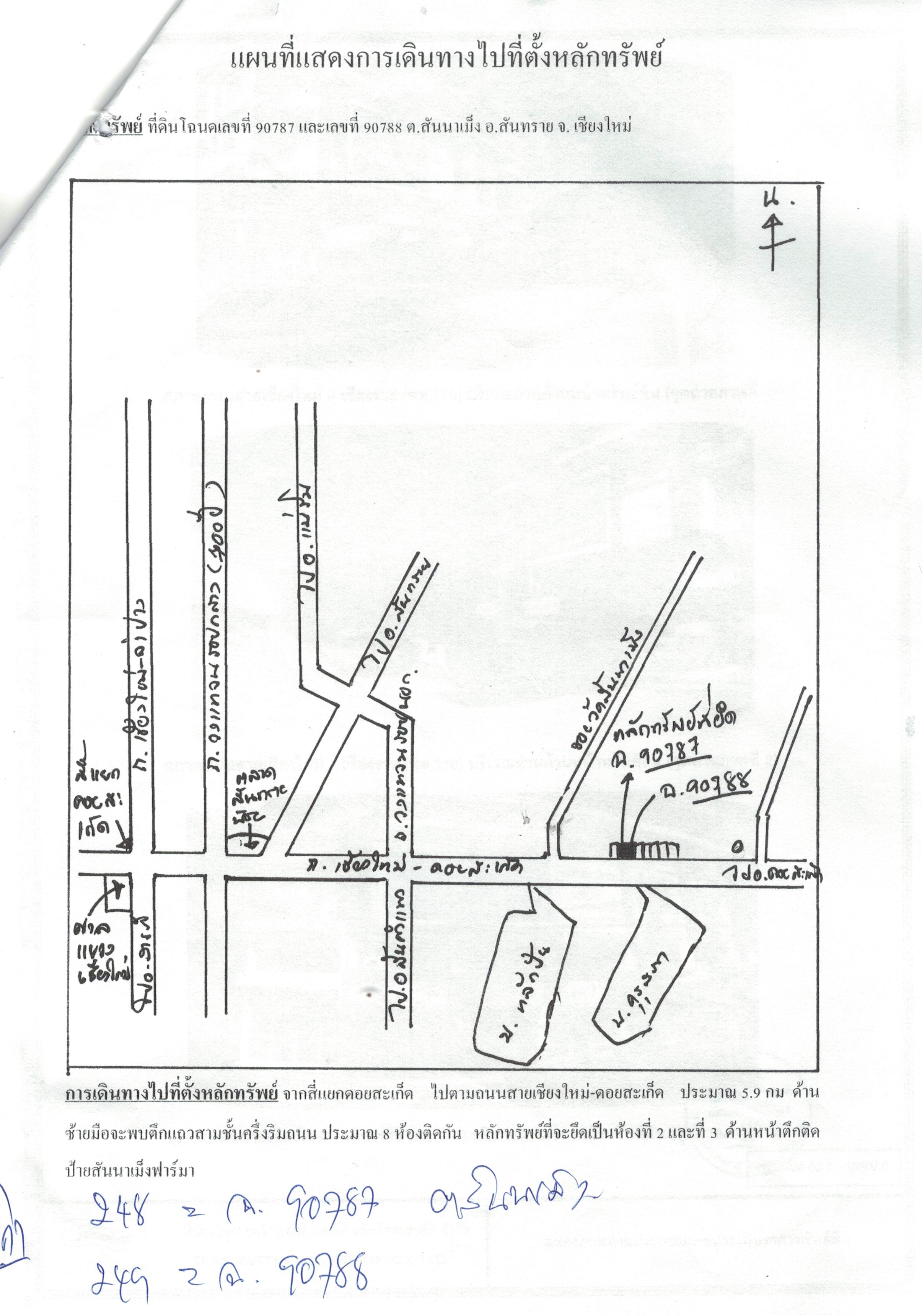
ที่ตั้ง
สภาพที่ดินทั้งสองแปลง มีสิ่งปลูกสร้่างบนที่ดินทั้งสองแปลงเป็น ตึกแถว 3 ชั้นครึ่ง จำนวน 2 ห้องทะลุถึงกัน ขนาดกว้างห้องละ 4 เมตร และยาวห้องละ 14 เมตร ตั้งอยู่ ต.สันนาเม็ง อ.สันทราย จ.เชียงใหม่
เลขที่เอกสารสิทธิ์
90787 และ 90788
เนื้อที่ / พื้นที่ใช้สอย
21 และ 21 ตรว.
ราคาประเมิน
3,529,960 บาท
ติดต่อเจ้าหน้าที่
ณัฐชยา โทร.053-266-472-5 ต่อ 15 สนง.เขียงใหม่ แก้วนวรัฐ รหัสอ้างอิงลูกหนี้ 973077
นัดที่ วันที่
1 25 ม.ค. 2564
2 15 ก.พ. 2564
3 8 มี.ค. 2564
4 29 มี.ค. 2564
5 -
6 -

หมายเหตุ
1.กรณีขายทรัพย์ได้แล้ว หรือมีการถอนการยึด หรือถอนการบังคับคดี หรืองดขายทรัพย์ในนัดที่เหลือจะไม่มีการขายทอดตลาดทรัพย์รายการนั้นอีกต่อไปตามประกาศฉบับนี้
2.ประกาศนี้จะถูกลบจากเวปไซต์หลังจากพ้นกำหนดวันขายทอดตลาดนัดสุดท้าย
3.ราคาตั้งขาย เป็นไปตามระเบียบของกรมบังคับคดี
4.ข้อมูลที่ปรากฏตามเว็บไซต์นี้ อาจมีข้อผิดพลาด กรุณาตรวจสอบอีกครั้งกับประกาศขายทอดตลาดของกรมบังคับคดี ผู้เข้าร่วมประมูลควรตรวจสอบความถูกต้องอื่นๆให้มั่นใจ ก่อนเข้าร่วมประมูลทรัพย์ทุกครั้ง
หากมีข้อสงสัยเพิ่มเติม
กรุณาติดต่อ กรมบังคับคดี โทร 028814999 (อัตโนมัติ 20 คู่สาย) หรือที่ http://www.led.go.th
ข้อมูลอ้างอิง
http://asset.led.go.th/newbidreg/asset_open.asp?Law_Court_ID=112&law_suit_no=%C5.3059&law_suit_year=2559&deed_no=90787&addrno=%E4%C1%E8%BB%C3%D2%A1%AF%E0%C5%A2%B7%D0%E0%BA%D5%C2%B9

เงื่อนไขผู้เข้าสู้ราคา
ผู้ประสงค์เข้าสู้ราคาต้องวางหลักประกันเป็นจำนวน 500000 บาท

ราคาประเมิน
ราคาประเมินของสำนักประเมินราคาทรัพย์ กรมธนารักษ์ โปรดติดต่อเจ้าหน้าที่
ราคาประเมินของผู้เชี่ยวชาญการประเมินราคา 3,529,960 บาท
ราคาประเมินของเจ้าพนักงานบังคับคดี โปรดติดต่อเจ้าหน้าที่
ราคาประเมินของเจ้าพนักงานประเมินราคาทรัพย์ กรมบังคับคดี โปรดติดต่อเจ้าหน้าที่
ราคาที่กำหนดโดยคณะกรรมการกำหนดราคาทรัพย์ โปรดติดต่อเจ้าหน้าที่

สถานที่ขายทอดตลาด
นัดที่ 1-4 ณ อาคารอสีติพรรษ กรมบังคับคดี เลขที่ 189/1 ถนนบางขุนนนท์ แขวงบางขุนนนท์ เขตบางกอกน้อย กรุงเทพ เวลา 9.00 น.

หมายเหตุ
1.กรณีขายทรัพย์ได้แล้ว หรือมีการถอนการยึด หรือถอนการบังคับคดี หรืองดขายทรัพย์ในนัดที่เหลือจะไม่มีการขายทอดตลาดทรัพย์รายการนั้นอีกต่อไปตามประกาศฉบับนี้
2.ประกาศนี้จะถูกลบจากเวปไซต์หลังจากพ้นกำหนดวันขายทอดตลาดนัดสุดท้าย
3.ราคาตั้งขาย เป็นไปตามระเบียบของกรมบังคับคดี
4.ข้อมูลที่ปรากฏตามเว็บไซต์นี้ อาจมีข้อผิดพลาด กรุณาตรวจสอบอีกครั้งกับประกาศขายทอดตลาดของกรมบังคับคดี ผู้เข้าร่วมประมูลควรตรวจสอบความถูกต้องอื่นๆให้มั่นใจ ก่อนเข้าร่วมประมูลทรัพย์ทุกครั้ง
หากมีข้อสงสัยเพิ่มเติม
กรุณาติดต่อ กรมบังคับคดี โทร 028814999 (อัตโนมัติ 20 คู่สาย) หรือที่ http://www.led.go.th
ข้อมูลอ้างอิง
http://asset.led.go.th/newbidreg/asset_open.asp?Law_Court_ID=112&law_suit_no=%C5.3059&law_suit_year=2559&deed_no=90787&addrno=%E4%C1%E8%BB%C3%D2%A1%AF%E0%C5%A2%B7%D0%E0%BA%D5%C2%B9